Cổng thông tin điện tử tỉnh Lạng Sơn

SỞ XÂY DỰNG

A- A A+ | Tăng tương phản Giảm tương phản

Bộ Xây dựng ban hành Công điện 64 về việc tập trung chủ động ứng phó siêu bão Ragasa

Ngày 22/9/2025, Bộ Xây dựng có Công điện số: 64/CĐ-BXD gửi các Cục: Đường bộ Việt Nam, Đường sắt Việt Nam, Hàng hải và Đường thủy Việt Nam, Hàng không Việt Nam, Kinh tế - Quản lý đầu tư xây dựng, Kết cấu hạ tầng xây dựng; Sở Xây dựng các địa phương: Quảng Ninh, Hải Phòng, Hưng Yên, Ninh Bình, Thanh Hóa, Nghệ An, Hà Tĩnh, Quảng Trị, Huế, Đà Nẵng, Quảng Ngãi; Tổng công ty Đường sắt Việt Nam; Các Ban Quản lý dự án, Tổng Công ty, doanh nghiệp thuộc Bộ Xây dựng; Công ty TNHH MTV Thông tin điện tử hàng hải Việt Nam về việc tập trung chủ động ứng phó siêu bão Ragasa.

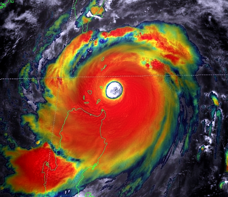
Ảnh mây vệ tinh siêu bão Ragasa

Theo bản tin của Trung tâm Dự báo khí tượng thủy văn quốc gia, cơn bão có tên quốc tế là Ragasa đang hoạt động ở vùng biển phía Đông của đảo Lu dông (Phi-líp-pin). Khoảng tối nay (ngày 22/9/2025) bão Ragasa sẽ di chuyển vào biển Đông (cơn bão số 9 trên biển Đông trong năm 2025). Sau khi vào biển Đông bão di chuyển nhanh hơn với tốc độ khoảng 20km/giờ và duy trì cường độ cực đại cấp 16-17, giật trên cấp 17 trong các ngày 22-23 tháng 9/2025 trên biển Đông (sức gió tương đương và mạnh hơn cường độ cực đại của cơn bão Yagi năm 2024), sóng biển cao trên 10m, biển động dữ dội, đặc biệt nguy hiểm cho tàu thuyền hoạt động ở khu vực bắc và giữa biển Đông.

Triển khai Công điện số 170/CĐ-TTg ngày 22/9/2025 của Thủ tướng Chính phủ về chủ động ứng phó với siêu bão Ragasa, đồng thời để chủ động ứng phó mưa, bão bảo đảm an toàn cho người và phương tiện tham gia giao thông, Bộ Xây dựng yêu cầu:

Thủ trưởng các cơ quan, đơn vị căn cứ chức năng, nhiệm vụ tổ chức theo dõi, cập nhật, nắm chắc tình hình diễn biến của bão; tập trung lãnh đạo chỉ đạo, rà soát, cập nhật phương án, sẵn sàng triển khai ngay các biện pháp ứng phó với siêu bão Ragasa với tinh thần quyết liệt nhất, từ sớm, từ xa, chủ động các biện pháp ứng phó ở mức cao nhất, lường trước kịch bản xấu nhất để bảo đảm an toàn tính mạng cho người dân, hạn chế thiệt hại về tài sản của Nhân dân và Nhà nước, không để bị động, bất ngờ trong mọi tình huống.

Cục Đường bộ Việt Nam: Chỉ đạo các Khu Quản lý đường bộ phối hợp với các Sở Xây dựng và các lực lượng chức năng của địa phương rà soát, hoàn thiện kịch bản, phương án ứng trực, phân luồng giao thông, cử người canh gác, cắm phao tiêu, rào chắn, báo hiệu ở những vị trí bị ngập nước, ngầm tràn, đoạn đường bị đứt, đoạn đường bị sạt lở; kiểm soát giao thông, chủ động điều tiết giao thông; cấm đường tại các vị trí nguy hiểm (ngầm tràn, cầu, phà…) trên các tuyến quốc lộ trong vùng chịu ảnh hưởng của bão, mưa lũ, kiên quyết không cho người và phương tiện đi vào những vị trí này nhằm đảm bảo an toàn giao thông cho người, phương tiện; Chỉ đạo các đơn vị quản lý đường bộ chuẩn bị đầy đủ vật tư dự phòng, bố trí máy móc, thiết bị và nhân lực ở những vị trí trọng yếu thường xuyên bị sụt trượt để chủ động khắc phục, đảm bảo giao thông trong thời gian nhanh nhất, đặc biệt trên các tuyến quốc lộ trọng điểm trong khu vực chịu ảnh hưởng.

Cục Đường sắt Việt Nam, Tổng công ty Đường sắt Việt Nam: Chỉ đạo các đơn vị thực hiện nghiêm chế độ tuần tra, chốt gác các công trình, vị trí xung yếu, khu vực trọng điểm như: cầu, đường yếu, dễ bị ngập nước; các đoạn đường đèo dốc, khu vực hay xảy ra lũ quét, đá rơi, đất sụt, các khu vực đường sắt ở phía hạ lưu đê, đập thủy lợi, hồ chứa nước... sẵn sàng, chủ động ứng phó kịp thời khi xảy ra sự cố, đảm bảo tuyệt đối an toàn cho người và phương tiện; Chỉ đạo các đơn vị tập trung phương tiện, vật tư, thiết bị và nhân lực khắc phục hậu quả mưa lũ và đảm bảo giao thông thông suốt trong thời gian nhanh nhất; Có kế hoạch dừng tàu, giãn tàu, tăng bo, chuyển tải hành khách khi tình hình mưa lũ gây ngập úng, sụt trượt tại các khu gian phải dừng tàu.

Cục Hàng hải và Đường thủy Việt Nam: Chỉ đạo các Cảng vụ hàng hải và đường thủy nắm chắc số lượng tàu, thuyền, phương tiện vận tải thủy đang neo đậu tại vùng neo đậu, các cửa sông, cửa biển, vùng nước quanh các đảo, luồng lạch trong khu vực chịu ảnh hưởng và hướng dẫn tàu, thuyền vào khu neo đậu an toàn; tổ chức kiểm đếm, quản lý chặt chẽ việc ra khơi và giữ liên lạc thường xuyên với các tàu, thuyền đang hoạt động trong khu vực chịu ảnh hưởng của bão. Phối hợp với Ban Chỉ huy Phòng thủ dân sự (sau đây viết tắt là PTDS) các địa phương để có biện pháp ứng phó phù hợp, kiên quyết yêu cầu các tàu, thuyền vận tải di chuyển về nơi tránh trú an toàn hoặc chủ động di chuyển ra khỏi vùng nguy hiểm; Chỉ đạo Trung tâm phối hợp tìm kiếm, cứu nạn hàng hải Việt Nam bố trí phương tiện tại các khu vực trọng điểm dự báo bão Ragasa sẽ ảnh hưởng trực tiếp để sẵn sàng phối hợp với các đơn vị, lực lượng có liên quan triển khai nhanh nhất công tác ứng phó, tìm kiếm cứu nạn khi có tình huống xấu xảy ra; Đôn đốc các đơn vị quản lý, bảo trì đường thủy nội địa kịp thời thu hồi phao tiêu, báo hiệu trước khi mưa lũ về hoặc khi nhận được thông báo xả lũ của Ban Chỉ huy PTDS các địa phương.

Cục Hàng không Việt Nam: Chỉ đạo các Hãng hàng không, Công ty Bay dịch vụ hàng không theo dõi chặt chẽ tình diễn biến thời tiết trong khu vực bị ảnh hưởng của bão, để điều chỉnh hoặc thay đổi lịch bay cho phù hợp nhằm bảo đảm an toàn tuyệt đối hoạt động bay; Chỉ đạo các đơn vị tăng cường công tác kiểm tra sân bay, nhà ga, hệ thống thông tin liên lạc, công tác điều hành, chỉ huy bay để kịp thời phát hiện và xử lý khắc phục các sự cố.

Cục Kinh tế - Quản lý đầu tư xây dựng chỉ đạo các Ban Quản lý dự án, chủ đầu tư, nhà thầu thi công, các đơn vị tư vấn có liên quan triển khai ngay công tác ứng phó với bão Ragasa, chuẩn bị các điều kiện để kịp thời khắc phục các sự cố công trình; phối hợp đảm bảo giao thông thông suốt trên các tuyến vừa thi công vừa khai thác.

Công ty TNHH MTV Thông tin điện tử Hàng hải Việt Nam chỉ đạo hệ thống đài thông tin duyên hải tăng cường thời lượng phát sóng thông báo, cảnh báo thông tin về hướng đi chuyển của bão Ragasa; hướng dẫn, kêu gọi tàu thuyền di chuyển không đi vào hoặc thoát ra khỏi vùng nguy hiểm về nơi tránh trú an toàn.

Sở Xây dựng các tỉnh trong khu vực ảnh hưởng của bão Ragasa: Chủ động phối hợp với các đơn vị quản lý đường bộ khu vực, các lực lượng chức năng của địa phương trong việc khắc phục sự cố do bão, mưa, lũ gây ra, tiến hành phân luồng, đảm bảo giao thông thông suốt; trong đó, tập trung kiểm tra, rà soát ngay các khu vực có nguy cơ sạt lở, sụt lún đất trên các tuyến đường được giao quản lý, sẵn sàng ứng phó kịp thời khi xảy ra sự cố nhằm đảm bảo an toàn cho người và phương tiện, có phương án bố trí phương tiện, thiết bị để kịp thời hỗ trợ người dân đi qua các khu vực bị ngập lụt; Chỉ đạo các đơn vị có liên quan kiểm tra, rà soát các vị trí có nguy cơ ngập úng, gây ách tắc giao thông để có phương án thoát nước nhanh, hạn chế ách tắc giao thông. Bố trí nhân lực, phương tiện, trang thiết bị máy móc ứng trực đảm bảo tiêu thoát nước sớm, chống ngập úng tại các điểm ngập úng trong đô thị. Chú ý đảm bảo an toàn cho người và phương tiện trong công tác khắc phục ngập, úng, thoát nước; Chỉ đạo các đơn vị quản lý cây xanh trong khu vực đô thị thực hiện kiểm tra và có phương án cắt, tỉa đối với các cây xanh có nguy cơ gãy, đổ gây mất an toàn giao thông và an toàn công trình xây dựng trong đô thị. Chuẩn bị nhân lực, máy móc, trang thiết bị sẵn sàng thu dọn, xử lý đối với cây gãy, đổ để đảm bảo giao thông thông suốt trong thời gian nhanh nhất.

Bộ Xây dựng yêu cầu các cơ quan, đơn vị nêu trên tổ chức trực ban 24/24h và thường xuyên báo cáo về Ban Chỉ huy PTDS Bộ Xây dựng theo số ĐT: 0989.642.456 và Email: banpclb@moc.gov.vn.

Nguồn: Bộ Xây dựng